Casa Nova Realty Logo
Highway frontage land for sale near Decameron Resort in El Farallón Panama
Exterior: View of land fronting the Interamericana highway, ideal commercial location.
Panamericana access lot for sale next Decameron El Farallón Panama Coclé
Exterior: Excellent street visibility ideal for retail or hospitality project.
Satellite view of large land parcel near airport and beach El Farallón Panama
Aerial: Prime parcel location highlighted by major highway, ocean and golf course proximity.
Open flat commercial land along Interamericana highway Farallón Panama
Exterior: Flat cleared land with highway access suitable for large scale development.
Commercial land beside Panamericana highway close to beaches Panama
Exterior: Strategic sandy lot facing highway ideal for mixed-use commercial hotel plaza.
Flat expansive land ideal for hotel or residential development in Farallón Panama
Exterior: Ideal topography for immediate commercial or residential construction.
Cleared land at Decameron entrance ready for commercial development Panama
Exterior: Strategic positioning for commercial growth in emerging Pacific zone.
Undeveloped grassy lot by Panamericana highway suitable commercial lot Panama
Exterior: Lush natural site with utilities, prime frontage for commercial or residential use.
Aerial showing land plot close to coast, airport and highways El Farallón Panama
Aerial: Shows the strategic position relative to coast and international airport.
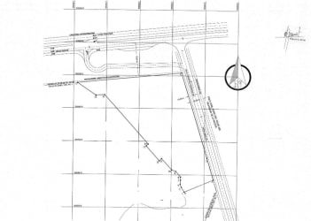
Detailed land plot plan with boundaries, streets, access points Coclé Panama
Site Plan: Official layout map with site boundary, street access ideal for developers.
Land for Sale

Land for Sale El Farallón Decameron Entrance Interamericana

El Farallón / Decameron Entrance, Antón, Río Hato

USD1,450,000

About this Land

Exceptional 16,033 m² flat land parcel with 90+ meters of frontage along the Interamericana Highway, strategically positioned at the main entrance to the Royal Decameron Golf Resort & Costa Blanca. Prime site for shopping center, hotel, hospital, mixed-use or residential development catering to residents and tourists. Dynamic area benefits from high visibility, growing tourism, nearby beach, golf course and international airport. All basic utilities available on boundary. Secure this high-potential property at $1,450,000 (~$90/m²), ideal for investors seeking an anchor site in Panama’s thriving Pacific Riviera region. Contact Casa Nova Realty Panama today.

Contact Maria Lopez at Casa Nova Realty Panama today to schedule a viewing! Reference Listing ID: 2Lhivqp.

Key Features

  • Over 90 meters of Panamericana highway frontage
  • Flat, cleared site ready for development
  • High traffic exposure ideal for commercial use
  • Adjacent Decameron resort and golf community clientele
  • Minutes from Pacific beaches and airport
  • Utilities available: water, electricity, telecom
  • Flexible zoning for commercial or residential projects
  • Strong area growth with tourism and residential expansion

Detailed Features

Property Details

TypeLand
CategoryCommercial & Residential Development Opportunity
Lot Size16032.65 m²
FurnishedNo
Pets AllowedNo
Price/m²USD90.44 / m²
Listing ID2Lhivqp

El Farallón - Decameron Entrance Lot Amenities

Road Access

Direct paved road access from Panamericana highway

Utility Connections

Electricity, water and telecommunications available at site boundary

Public Transportation

Bus stop nearby along highway for easy access

Golf Course Nearby

Walking distance to 18-hole golf resort

Beach Proximity

Just minutes from Playa Blanca and Decameron Beach

Location & Nearby

Loading Map...

Neighborhood Highlights

  • Strategic frontage on Interamericana Highway
  • Next to Decameron Resort entrance
  • Near Costa Blanca Golf & Villas
  • Close proximity to Scarlett Martínez International Airport
  • Emerging commercial tourism zone
  • Minutes from beaches on Pacific coast
  • Growing residential and hotel developments

Nearby Landmarks

  • Royal Decameron Golf Resort (200m)
  • Costa Blanca Golf & Villas (300m)
  • Scarlett Martínez Airport (RIH) (3 km)
  • Playa Blanca Beach (1.5 km)
  • Super 99 Supermarket (4 km)
*Disclaimer: Property information is deemed reliable but not guaranteed and should be independently verified. Availability, price, and details are subject to change. Measurements are approximate. Listing ID: 2Lhivqp. Last updated: 2025-11-07T23:59:00Z*

Frequently Asked Questions

What is the price for this land?
The asking price for this land is $1,450,000 USD.
Where is this land located?
This land is located in Antón, Río Hato, Panama. Contact Casa Nova Realty for the exact address and to schedule a viewing.
What is the size of this land?
This land has a total area of 16032.65 square meters (1.6 hectares). Contact Casa Nova Realty for more details about the property boundaries and specifications.
How can I schedule a viewing of this land?
To schedule a viewing, contact Casa Nova Realty Panama at +507-6361-1367 (phone or WhatsApp) or email info@casanova.realty. Our bilingual team is available Monday-Friday 9AM-6PM and Saturday 10AM-2PM.
Call WhatsApp Email